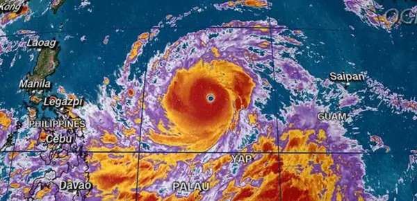
Mentre l’uragano Florence sta colpendo la East Coast degli Stati Uniti, il tifone Mangkhut, raggiunta la categoria 5, la massima prevista nella scala Saffir-Simpson, si avvicina sempre di più all’isola di Luzon, nel nord delle Filippine, dove è atteso per sabato. Ordinata l’evacuazione di migliaia di persone nelle Filippine e nel sud della Cina.

Più forte di Florence

Secondo il meteorologo della CNN Brandon Miller, il tifone Mangkhut è più grande, potente e pericoloso dell’uragano Florence.

Il suo potere distruttivo sarà maggiore su tutti i territori che attraverserà nei prossimi giorni. Si attende anche un maggior numero di vittime vista la maggiore povertà degli abitanti e la maggiore fragilità delle strutture colpite, in particolare nelle campagne filippine e cinesi.

L’evacuazione

Il Department of Social Welfare and Development del governo filippino è in stato di allerta per rafforzare il monitoraggio e la preparazione delle misure per rispondere all’emergenza nelle aree lungo il percorso del tifone. Mangkhut potrebbe essere forte come il super tifone Haiyan, che nel 2013 ha lasciato più di 6.000 morti nelle Filippine, anche se quella tempesta ha colpito una parte più popolata del paese.

Alcune migliaia di abitanti sono stati evacuati dalle zone costiere di Luzon e del sud della Cina ma tantissimi rimarranno nelle loro case ad attendere la tempesta. Anche per questo Gordon, il capo della Croce Rossa delle Filippine, ha detto che i team di risposta alle emergenze, le squadre di ricerca e soccorso, le scorte d'acqua, i servizi igienico-sanitari, le unità sanitarie e i volontari sono in attesa nel nord e nel centro di Luzon, così come a Manila, per prestare assistenza.

Paura ad Hong Kong e Macao

Il momento peggiore della tempesta sarà tuttavia quando il tifone raggiungerà Hong Kong e Macao, che sono attualmente sul percorso previsto del ciclone. Secondo le proiezioni correnti, Mangkhut potrebbe essere una delle tempeste più forti a colpire Hong Kong in oltre sei decenni.

Il meteorologo di AccuWeather, Adam Douty ha dichiarato che quando Mangkhut attraverserà il Mar Cinese Meridionale, i danni provocati dal vento coinvolgeranno probabilmente tutto il sud della Cina e le aree intorno ad Hong Kong verso la fine del weekend, specialmente nelle località costiere e attorno al delta del fiume Pearl. Le stesse aree sono già state attraversate nei giorni precedenti dal piccolo ciclone Barijat che ha già riempito fiumi e laghi con grandi quantitativi di piogge, rendendo ancora più rischioso l’arrivo di Mangkhut.